Взаимодействие мезенхимных стромальных клеток из Вартонова студня пупочного канатика с первичной культурой клеток гиппокампа мышей 5XFAD при различных типах культивирования
- Авторы: Чаплыгина А.В.1, Жданова Д.Ю.1, Ковалев В.И.1, Полтавцева Р.А.2, Бобкова Н.В.1
-
Учреждения:
- Институт биофизики клетки РАН, ФИЦ ПНЦБИ РАН
- Национальный медицинский исследовательский центр акушерства, гинекологии и перинатологии им. акад. В.И. Кулакова Минздрава России
- Выпуск: Том 40, № 3 (2023)
- Страницы: 217-232
- Раздел: СТАТЬИ
- URL: https://journal-vniispk.ru/0233-4755/article/view/135037
- DOI: https://doi.org/10.31857/S0233475523030040
- EDN: https://elibrary.ru/EWMQDL
- ID: 135037
Цитировать
Полный текст
Аннотация
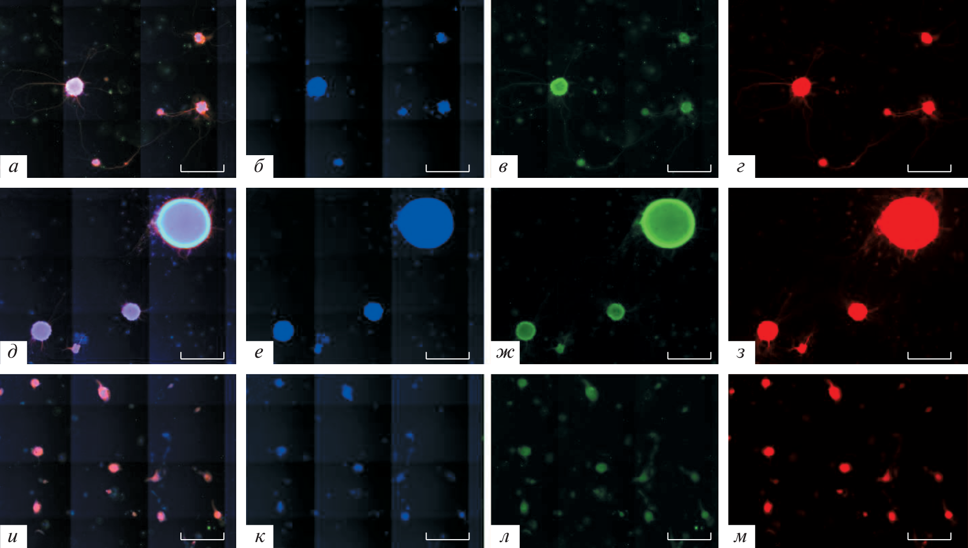
В работе изучен характер взаимного влияния мультипотентных мезенхимных стромальных клеток (ММСК), выделенных из Вартонова студня пупочного канатика человека, и первичной культуры клеток гиппокампа трансгенных 5XFAD мышей – модели наследственной формы болезни Альцгеймера (БА). Для идентификации ММСК в “химерной культуре” использовали антитела к ядерному человеческому антигену, принадлежность клеток к нейронам или астроцитам определяли по наличию позитивной иммунореактивности к маркерным белкам МАР2 и GFAP, соответственно. Показано, что результат взаимодействия зависит как от способа культивирования, так и от возраста культуры. При непрямом (бесконтактном) культивировании агрессивная среда трансгенной культуры влияла на выживаемость и ухудшала адгезивные свойства ММСК. Предварительная обработка этих клеток стресс-белками YB-1 и HSP70, обладающими нейропротекторными свойствами, повышало резистентность ММСК. В молодой культуре при контактном культивировании ММСК играют роль специфических тяжей, способствующих группированию культуры клеток гиппокампа трансгенных мышей и образованию нейросфер. В старых трансгенных культурах вне зависимости от способа культивирования ММСК дифференцировались в астроциты, но при длительном прямом культивировании часть ММСК становилась иммунопозитивной к нейрональному маркеру МАР2. В работе показано, что взаимодействие ММСК с клетками культуры может осуществляться с участием щелевых контактов, а также благодаря формированию нанотрубок. Полученные результаты свидетельствуют о наличии сложных взаимоотношений донорских ММСК и клеток реципиента, что необходимо для внедрения клеточной терапии в практику лечения больных БА.
Ключевые слова
Об авторах
А. В. Чаплыгина
Институт биофизики клетки РАН, ФИЦ ПНЦБИ РАН
Автор, ответственный за переписку.
Email: shadowhao@yandex.ru
Россия, 142290, Московская обл., Пущино
Д. Ю. Жданова
Институт биофизики клетки РАН, ФИЦ ПНЦБИ РАН
Email: shadowhao@yandex.ru
Россия, 142290, Московская обл., Пущино
В. И. Ковалев
Институт биофизики клетки РАН, ФИЦ ПНЦБИ РАН
Email: shadowhao@yandex.ru
Россия, 142290, Московская обл., Пущино
Р. А. Полтавцева
Национальный медицинский исследовательский центр акушерства,гинекологии и перинатологии им. акад. В.И. Кулакова Минздрава России
Email: shadowhao@yandex.ru
Россия, 117198,
Москва
Н. В. Бобкова
Институт биофизики клетки РАН, ФИЦ ПНЦБИ РАН
Email: shadowhao@yandex.ru
Россия, 142290, Московская обл., Пущино
Список литературы
- Sivandzade F., Cucullo L. 2021. Regenerative stem cell therapy for neurodegenerative diseases: An overview. Int. J. Mol. Sci. 22 (4), e2153.
- Carp D.M., Liang Y. 2022. Universal or personalized mesenchymal stem cell therapies: Impact of age, sex, and biological source. Cells. 11 (13), e2077.
- Goncalves K., Przyborski S. 2018. The utility of stem cells for neural regeneration. Brain Neurosci. Adv. 2 (2), e239821281881807
- Behrstock S., Ebert A.D., Klein S., Schmitt M., Moore J.M., Svendsen C.N. 2008. Lesion-induced increase in survival and migration of human neural progenitor cells releasing GDNF. Cell Transplant. 17 (7), 753–762.
- Blurton-Jones M., Kitazawa M., Martinez-Coria H., Castello N.A., Müller F.J., Loring J.F., Yamasaki T.R., Poon W.W., Green K.N., LaFerla F.M. 2009. Neural stem cells improve cognition via BDNF in a transgenic model of Alzheimer disease. Proc. Natl. Acad. Sci. USA. 106 (32), 13594–13599.
- Chaplygina A.V., Zhdanova D.Y., Kovalev V.I., Poltavtseva R.A., Medvinskaya N.I., Bobkova N.V. 2022. Cell therapy as a way to correct impaired neurogenesis in the adult brain in a model of Alzheimer’s disease. J. Evol. Biochem. Physiol. 58 (1), 117–137.
- Kim S., Chang K.A., Kim J.A., Park H.G., Ra J.C., Kim H.S., Suh Y.H. 2012. The preventive and therapeutic effects of intravenous human adipose-derived stem cells in Alzheimer’s disease mice. PLoS One. 7 (9), e45757.
- Bruno S., Kholia S., Deregibus M.C., Camussi G. 2019. The role of extracellular vesicles as paracrine effectors in stem cell-based therapies. Adv. Exp. Med. Biol. 1201, 175–193.
- Yin K., Wang S., Zhao R.C. 2019. Exosomes from mesenchymal stem/stromal cells: A new therapeutic paradigm. Biomark. Res. 7, 8.
- Joyce N., Annett G., Wirthlin L., Olson S., Bauer G., Nolta J.A. 2010. Mesenchymal stem cells for the treatment of neurodegenerative disease. Regen. Med. 5 (6), 933–946.
- Xin D., Li T., Chu X., Ke H., Liu D., Wang Z. 2021. MSCs-extracellular vesicles attenuated neuroinflammation, synapse damage and microglial phagocytosis after hypoxia-ischemia injury by preventing osteopontin expression. Pharmacol. Res. 164, e105322.
- Nair S., Rocha-Ferreira E., Fleiss B., Nijboer C.H., Gressens P, Mallard C, Hagberg H. 2021. Neuroprotection offered by mesenchymal stem cells in perinatal brain injury: Role of mitochondria, inflammation, and reactive oxygen species. J. Neurochem. 158 (1), 59–73.
- Kim D.H., Lee D., Lim H., Choi S.J., Oh W., Yang Y.S., Chang J.H., Jeon H.B. 2018. Effect of growth differentiation factor-15 secreted by human umbilical cord blood-derived mesenchymal stem cells on amyloid beta levels in in vitro and in vivo models of Alzheimer’s disease. Biochem. Biophys. Res. Commun. 504 (4), 933–940.
- Spees J.L., Lee R.H., Gregory C.A. 2016. Mechanisms of mesenchymal stem/stromal cell function. Stem Cell Res. Ther. 7 (1), 125.
- Ramkisoensing A.A., Pijnappels D.A., Swildens J., Goumans M.J., Fibbe W.E., Schalij M.J., de Vries A.A.F., Atsma D.E. 2012. Gap junctional coupling with cardiomyocytes is necessary but not sufficient for cardiomyogenic differentiation of cocultured human mesenchymal stem cells. Stem Cells. 30 (6), 1236–1245.
- Matuskova M., Hlubinova K., Pastorakova A., Hunakova L., Altanerova V., Altaner C., Kucerova L. 2010. HSV-tk expressing mesenchymal stem cells exert bystander effect on human glioblastoma cells. Cancer Lett. 290 (1), 58–67.
- Kikuchi-Taura A., Okinaka Y., Saino O., Takeuchi Y., Ogawa Y., Kimura T., Gul S., Claussen C., Boltze J., Taguchi A. 2021. Gap junction-mediated cell-cell interaction between transplanted mesenchymal stem cells and vascular endothelium in stroke. Stem Cells. 39 (7), 904–912.
- Bobkova N.V., Poltavtseva R.A., Samokhin A.N., Sukhikh G.T. 2013. Therapeutic effect of mesenchymal multipotent stromal cells on memory in animals with Alzheimer-type neurodegeneration. Bull. Exp. Biol. Med. 156 (1), 119–121.
- Poltavtseva R.A., Samokhin A.N., Bobkova N.V., Alexandrova M.A., Sukhikh G.T. 2020. Effect of transplantation of neural stem and progenitor cells on memory in animals with Alzheimer’s type neurodegeneration. Bull. Exp. Biol. Med. 168 (4), 589–596.
- Skok M. 2021. Mesenchymal stem cells as a potential therapeutic tool to cure cognitive impairment caused by neuroinflammation. World J. Stem Cells. 13 (8),1072–1083.
- Yun H.M., Kim H.S., Park K.R., Shin J.M., Kang A.R., il Lee K., Song S., Kim Y.B., Han S.B., Chung H.M., Hong J.T. 2013. Placenta-derived mesenchymal stem cells improve memory dysfunction in an Aβ1-42-infused mouse model of Alzheimer’s disease. Cell Death Dis. 4 (12), e958.
- Bagheri-Mohammadi S. 2021. Microglia in Alzheimer’s disease: The role of stem cell-microglia interaction in brain homeostasis. Neurochem. Res. 46 (2), 141–148.
- Qin C., Lu Y., Wang K., Bai L., Shi G., Huang Y., Li Y. 2020. Transplantation of bone marrow mesenchymal stem cells improves cognitive deficits and alleviates neuropathology in animal models of Alzheimer’s disease: A meta-analytic review on potential mechanisms. Transl. Neurodegener. 9 (1), 20.
- Yang H., Xie Z., Wei L., Yang H., Yang S., Zhu Z., Wang P., Zhao C., Bi J. 2013. Human umbilical cord mesenchymal stem cell-derived neuron-like cells rescue memory deficits and reduce amyloid-beta deposition in an AβPP/PS1 transgenic mouse model. Stem Cell Res. Ther. 4 (4), 76.
- Hernández A.E., García E. 2021. Mesenchymal stem cell therapy for Alzheimer’s disease. Stem Cells Int. 2021, e7834421.
- de Godoy M.A., Saraiva L.M., de Carvalho L.R.P., Vasconcelos-Dos-Santos A., Beiral H.J.V., Ramos A.B., Silva. LR.P., Leal R.B., Monteiro V.H.S., Braga C.V., de Araujo-Silva C.A., Sinis L.C., Bodart-Santos V., Kasai-Brunswick T.H., Alcantara C.L., Lima A.P.C.A., da Cunha-E Silva N.L., Galina A., Vieyra A., De Felice F.G., Mendez-Otero R., Ferreira S.T. 2018. Mesenchymal stem cells and cell-derived extracellular vesicles protect hippocampal neurons from oxidative stress and synapse damage induced by amyloid-β oligomers. J. Biol. Chem. 293 (6), 1957–1975.
- Bobkova N.V., Lyabin D.N., Medvinskaya N.I., Samokhin A.N., Nekrasov P.V., Nesterova I.V., Aleksandrova I.Y., Tatarnikova O.G., Bobylev A.G., Vikhlyantsev I.M., Kukharsky M.S., Ustyugov A.A., Polyakov D.N., Eliseeva I.A., Kretov D.A., Guryanov S.G., Ovchinnikov L.P. 2015. The Y-box binding protein 1 suppresses Alzheimer’s disease progression in two animal models. PLoS One. 10 (9), e0138867.
- Evgenev M., Bobkova N., Krasnov G., Garbuz D., Funikov S., Kudryavtseva A., Kulikov A., Samokhin A., Maltsev A., Nesterova I. 2019. The effect of human HSP70 administration on a mouse model of Alzheimer’s disease strongly depends on transgenicity and Age. J. Alzheimer’s Dis. 67, 1391–1404.
- Miao X., Wu Y., Wang Y., Zhu X., Yin H., He Y., Li C., Liu Y., Lu X., Chen Y., Shen R., Xu X., He S. 2016. Y-box-binding protein-1 (YB-1) promotes cell proliferation, adhesion and drug resistance in diffuse large B-cell lymphoma. Exp. Cell Res. 346 (2), 157–166.
- Xie F., Zhan R., Yan L-C., Gong J-B., Zhao Y., Ma J., Qian L-J. 2016. Diet-induced elevation of circulating HSP70 may trigger cell adhesion and promote the development of atherosclerosis in rats. Cell Stress Chaperones. 21 (5), 907–914.
- Galipeau J., Krampera M., Barrett J., Dazzi F., Deans R.J., DeBruijn J., Dominici M., Fibbe W.E., Gee A.P., Gimble J.M., Hematti P., Koh M.B., LeBlanc K., Martin I., McNiece I.K., Mendicino M., Oh S., Ortiz L., Phinney D.G., Planat V., Shi Y., Stroncek D.F., Viswanathan S., Weiss D.J., Sensebe L. 2016. International Society for Cellular Therapy perspective on immune functional assays for mesenchymal stromal cells as potency release criterion for advanced phase clinical trials. Cytotherapy. 18 (2), 151–159.
- Wang Y., Su J., Fu D., Wang Y., Chen Y., Chen R., Qin G., Zuo J., Yue D. 2018. The role of YB1 in renal cell carcinoma cell adhesion. Int. J. Med. Sci. 15, 1304–1311.
- Kollar K., Cook M.M., Atkinson K., Brooke G. 2009. Molecular mechanisms involved in mesenchymal stem cell migration to the site of acute myocardial infarction. Int. J. Cell Biol. 2009, e904682.
- Tang B., Li X., Liu Y., Chen X., Li X., Chu Y., Zhu H., Liu W., Xu F., Zhou F., Zhang Y. 2018. The therapeutic effect of ICAM-1-overexpressing mesenchymal stem cells on acute Graft-Versus-Host disease. Cell. Physiol. Biochem. Int. J. Exp. Cell. Physiol. Biochem. Pharmacol. 46 (6), 2624–2635.
- Tatarnikova O.G., Orlov M.A., Bobkova N.V. 2015. Beta-amyloid and tau-protein: structure, interaction, and prion-like properties. Biochemistry. (Mosc). 80 (13), 1800–1819.
- Sukach A.N., Ivanov E.N. 2007. Formation of spherical colonies as a property of stem cells. Cell tissue biol. 1 (6), 476–481.
- Onfelt B., Nedvetzki S., Benninger R.K., Purbhoo M.A., Sowinski S., Hume A.N., Seabra M.C., Neil M.A., French P.M., Davis D.M. 2006. Structurally distinct membrane nanotubes between human macrophages support long-distance vesicular traffic or surfing of bacteria. J. Immunol. 177 (12), 8476–8483.
Дополнительные файлы












